More support is needed for construction
City support came from several directions today for the redevelopment of the long-vacant Westinghouse plant, 1200 W. 58th St. in Cleveland’s Gordon Square neighborhood. But more is needed in order to finalize the redevelopment financing package and design work for the project.
The biggest city hurdle that was traversed today was the unanimous vote by the Board of Zoning Appeals (BZA) in support of two zoning variances. One variance allows for residential use in a nonresidential district and for the development to exceed the maximum gross floor ratio for a residential building in a B area district.
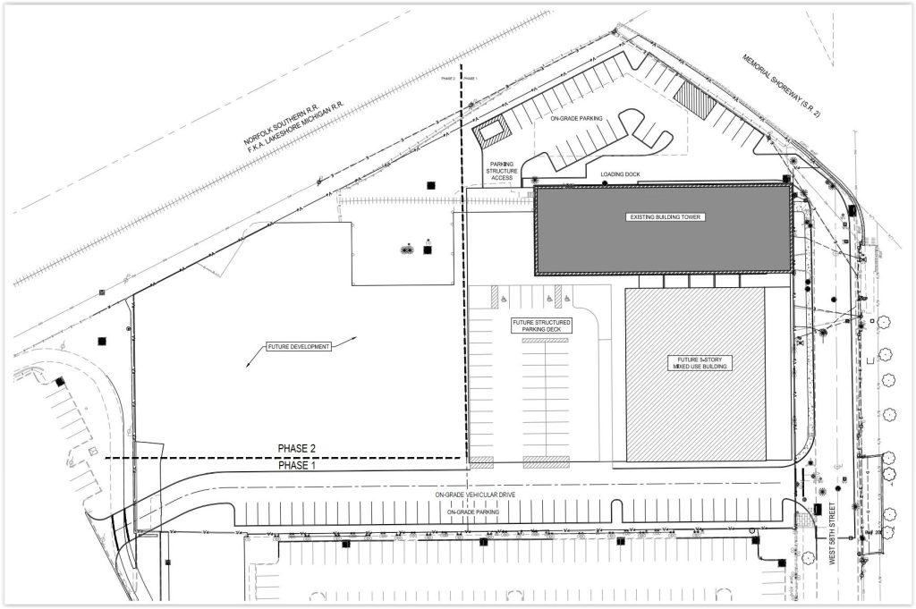
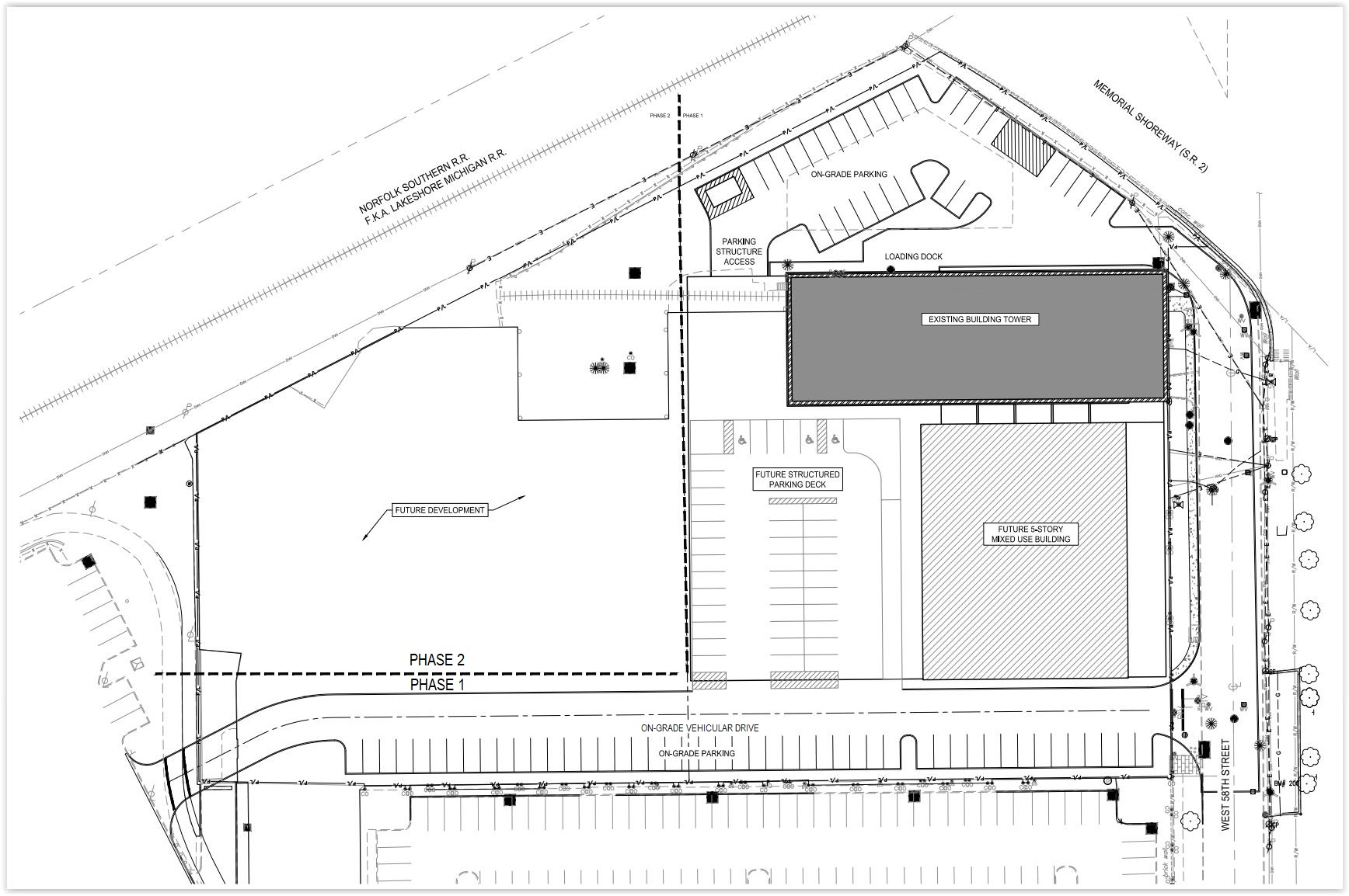
In Cleveland’s zoning code, a B area district is one that allows a maximum gross floor area of up to half of a minimum lot area. Considering the existing, 1915-built tower measures about 113,000 square feet, the property would need to measure 5.22 acres to conform to existing zoning.
Instead, the site is 3.6 acres, and more is planned to be built on it. In addition to the existing eight-story tower, a five-story mixed-use building of commercial uses and apartments is planned behind the surviving façade of a 19th-century foundry. Total project costs are estimated at about $60 million.

Phase 1A of the Westinghouse redevelopment would enclose the historic tower, shown here in a dark shade of gray. The new Foundry Building is in a lighter shade and would be atop and next to two levels of parking in Phase 1B. A second phase, likely to be residential, will be on the western half of the site (AODK).
“I offer my full support for these (variance) requests,” said Ward 15 Councilwoman Jenny Spencer in a letter to BZA. “The site is surrounded by residential uses today and residential is the highest and best use for the site. Additionally, the existing building has existing floor plates that exceed code. The developers can’t help that.”
Spencer’s support wasn’t a given. She has been increasingly critical of high-end, market-rate housing developments in her ward. She said such developments have threatened to raise housing prices, property taxes and push out longtime residents.
The Westinghouse development team, organized as TW58 Cleveland LLC, is also asking for a tax-increment financing agreement with the city. In exchange, the city asked the developers for a community benefits agreement (CBA).
The CBA includes setting aside some of the 106 apartments planned for the historic tower as workforce units, affordable to persons earning 120 percent of the area’s median income. Rent for the rest of the apartments will be market rate.
Also, about 30 apartments are planned on the top three floors of the Foundry Building above its two floors of commercial uses. Next to and below the new building will be 213 parking spaces for residents, commercial tenants and visitors.
The development is proposed in phases, with Phase 1A to be the enclosure of the historic tower. That involves repairing masonry and the roof, installing windows and doors, and basically whiteboxing the interior so its residential floorplates can be built out in the Phase 1B along with constructing the new Foundry Building.
A public, online meeting was held Oct. 22 by Spencer and the Northwest Neighborhoods Community Development Corporation about the project and its proposed CBA. While there were questions by residents about the project, most expressed support. The Westinghouse plant has been vacant since 2019.
“The developer plans to turn the existing tower into new housing units at varying price points and to build in future phases a mixed-use space,” Spencer added in her letter. “The Westinghouse project will be a catalyst for the neighborhood and I am thrilled that the Brownfield site will be put to productive use.”
Site demolition and clean up work was done in 2023 after a $2.6 million Ohio Brownfield Remediation Program grant was awarded the prior year by the Ohio Department of Development to property owner Westinghouse-Breakwater Properties LLC via the Cuyahoga Land Bank.
“We’ve abated all the asbestos in the buildings; we’ve taken out the lead, PCB contamination in the soils,” said Dave Fischback, principal and manager of the development’s ownership group. He is also president and co-chairman of Cleveland-based The Krill Co., which is the project’s general contractor.
“Currently the biggest risk to the neighborhood is security,” he added at today’s BZA hearing. “We’ve got an open building that people can get into and we just want to move forward as quickly as possible.”
Much of the financing for the project is in place, including partner equity, a bank loan and a Property Assessed Clean Energy loan. The remaining pieces are tax-increment financing and CBA with the city which will be submitted soon to City Council for approval.
Initiating the redevelopment effort five years ago was the Trebilcock family who founded the Cleveland-based information technology firm MCPc Inc. But the project got renewed life this year when it added a new partner — Patina Capital of Cleveland, said Michael Trebilcock Jr.
Another coming municipal hurdle will be the Design Review Committee of the City Planning Commission. AODK Architecture of Lakewood is the project’s designer. However the proposed reuse of the site from industrial to residential is not an issue for the commission.
“We fully support the project,” said Nate Lull, a neighborhood planner for the commission, at today’s BZA hearing. “As has been stated, the neighborhood has really transitioned from heavy industrial-intense uses when this property was originally zoned in 1929 to a very residential neighborhood.”
“So it just makes more sense to have a residential development in this building at this point,” Lull continued. “Any potential industrial use would conflict with the neighborhood surrounding there and so we fully support the variances.”
END







