This is the Tenth edition of Seeds & Sprouts – Early intelligence on Cleveland-area real estate projects. Because these projects are very early in their process of development or just a long-range plan, a lot can and probably will change their final shape, use and outcome.
New Walz Library, apartments offer neighborhood transformation
Cleveland Landmarks Commission gave mixed reviews in its first look this week at plans for a new Walz Branch of the Cleveland Public Library (CPL) topped by affordable senior apartments. The development is proposed to be built on the site of the existing library, 7910 Detroit Ave., as well as where the neighboring Detroit Chateau apartment building, 7918 Detroit Ave., now stands.
Also the commission approved demolition of the 100-year-old Detroit Chateau, owned by the Detroit-Shoreway Community Development Organization (DSCDO), to help clear the way for the project. Demolition approval rested with the Landmarks Commission because the building is located in the? Detroit-Shoreway Historic District. Detroit Chateau is due to be razed in December.
Detroit Chateau has only seven of its 19 units occupied by tenants who will be relocated to new housing. The building needs $1.5 million in improvements and incurs a $20,000 per year operating losses to the community development corporation, said Brittany Senger, DSCDO’s project manager of multi-family development.
When DSCDO asked the State Historic Preservation Office in 2013 to include the heavily modified Detroit Chateau on the National Register of Historic Places, it determined the building doesn’t have sufficient historical or architectural character to warrant inclusion. That significantly reduced the chances of the building being eligible for historic tax credits or getting renovated.
Instead, DSCDO will apply for low-income housing tax credits to be awarded in May 2021 from the Ohio Housing Finance Agency for new construction. The apartment building above the new Walz Branch could have 51 apartments — 20 two-bedroom units, 26 one-bedroom apartments, and five studios totaling 38,914 square feet. Planned is a rooftop deck, community room, on-site laundry and wellness center, Senger said.
The 53-year-old library also has its issues. As part of its 10-year, $100 million masterplan to rebuild or replace its facilities, CPL said the Walz Branch should have 15,000 square feet to meet programming requirements. Walz has only 9,700 square feet. The library is named after Dr. Frederick Wilhelm Walz who donated land for the library upon his death in 1945.
Also, the library building has no elevator or restrooms on the main level fronting Detroit, requiring disabled patrons to go outside and use the sloping parking lot to reach the lower level at the back of the building. Public meeting rooms are also on the lower level, Senger said.
“This has been a 10-year planning process,” said Ward 15 Councilman Matt Zone. “With the land assembly (by DSCDO) behind the site, this has the opportunity to be one of the most transformative developments in our neighborhood in perhaps the last 50 years.”
But several commission members pushed back against conceptual designs for the library topped by apartments. Much of the disdain was directed at the inclusion of a trapezoidal roof overhanging the glassy facade facing south at Detroit. Some said it was too thick, too tall, too large and blocks the apartment building residents’ views of the street. There was no action taken by the commission on the conceptual designs.
Senger said that Zone wanted a design that gave the library a noticeable presence from the street. He said too many people pass by the library and don’t even know that it’s there. The conceptual designs for the mixed-use development were produced by Robert P. Madison International Inc. and Bialosky Cleveland.
After final designs are submitted and approved by the commission, the Walz Branch library is scheduled to be temporarily relocated in 2022 and its 53-year-old building demolished. Completion of the new branch topped by apartments is anticipated for May 2023.
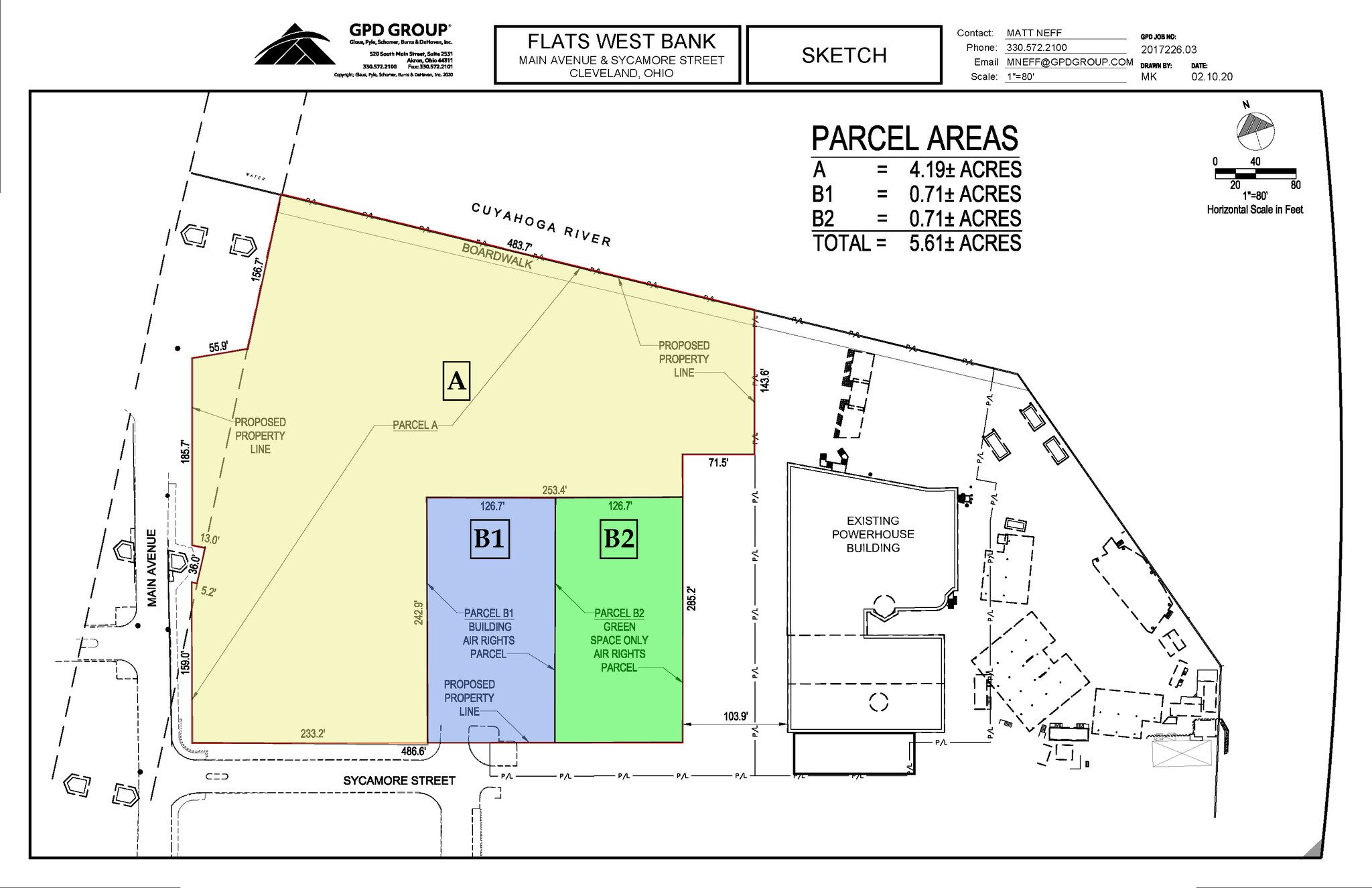
![]() |
| Jacobs Entertainment Inc.’s 5.6 acres of land it listed for sale is shown above in yellow and includes the air rights above the parcels shown in blue and green (LoopNet). |
CASTO backs away from Flats site, replaced by another?
Buyers Products breaks ground for new warehouse
- Tenant ID’d for big new industrial development near Hopkins airport
- $119M Lakewood Common project goes vertical
- CWRU to renovate, expand one of its most historic buildings
- Master Chrome coming down, cleaning up
- Familiar Ohio City buildings go on sale for the first time in 143 years
- Cleveland sports venues seek $125M from state












Comments are closed.