Property sold, construction sought by early 2026
An Independence-based development firm yesterday closed on acquiring a large parcel of land in the eastern suburb of Highland Hills and plans to start construction early next year of up to 400,000 square feet of facilities to accommodate one or more manufacturing tenants.
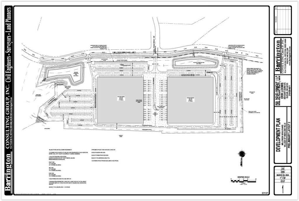
DBL Development, through an affiliate DBL Millcreek LLC, took title yesterday to the former City of Cleveland-owned Cleveland Workhouse penal facility property via a quit-claim deed transfer, according to Cuyahoga County property records. The nearly 30-acre site is located at 22000 Millcreek Blvd.
The purchase price of the 15-acre, city owned land was $800,000, an amount already known because it was approved by Cleveland City Council in early June. NEOtrans shared the news a week later, but was still the first to report it.
In 2023, DBL Millcreek had acquired an adjacent 13-acre parcel land for $855,000 from PNC/National City Bank. Before 2002, that property belonged to the City of Cleveland, as well. National City Bank acquired it for a future expansion of its operations center to the east but successor PNC jettisoned the operations center and no longer needed the extra land.
Demolition and preliminary development plans for the site will be submitted to the Village of Highland Hills in the coming weeks so site prep work can start next month, said Rico Pietro, a principal with DBL Development. The goal is to have the site “pad-ready” by spring 2026 so construction can begin.
“We’re getting our arms around our timeline,” Pietro said in a phone interview. “We just think its too good to not capitalize on. We may start with just one 200,000-square-foot building or go ahead and build two 200,000-square-foot buildings. There are economies of scale to be had if we go ahead and build both once we start moving.”
The property is already being marketed by Cushman & Wakefield – CRESCO Real Estate brokerage in Independence where Pietro also is a principal. The site is located near the intersection of Harvard and Green roads and is minutes from Interstates 271 and 480.
Euclid-based construction firm Loomis Companies is the project’s general contractor. Eric Loomis, president of the construction firm, is another principal in DBL Development. The “DBL” in the development company’s name stands for “Design Build Lease.”
Right now, Pietro said DBL doesn’t have a signed tenant but they have one or more advanced manufacturing tenants in mind. He said they intend to build anyway on “spec” — the speculation they will be able to land a tenant during construction or soon thereafter.
“We’re very aligned with Jobs Ohio and Team NEO on securing advanced manufacturing for this site,” Pietro added. “It has proximity to highways. It’s 10 minutes from where many CEOs live. It’s 10 minutes from where many blue-collar residents live. There’s also a possible (training) partnership with Tri-C East (less than 1 mile away).”
Cuyahoga Land Bank was awarded $1,792,027 in Ohio Brownfield funds in December 2024 to demolish buildings and clean up the site. The sub-applicant for the Brownfield grant was DBL Millcreek.
Construction of the industrial facilities was estimated in the Brownfield application at $40 million. The industrial development offers “institutional-grade commercial spaces supporting hundreds of new jobs, enhancing economic opportunities in Highland Hills,” according to the application.
Also last June, Cleveland City Council approved an ordinance to add the former Workhouse site to a Joint Economic Development Zone Agreement (JEDZA) originally established in 1996 to facilitate development of land owned by Cleveland in the village of Highland Hills.
Pietro credited Cleveland city officials, the Cuyahoga Land Bank and Highland Hills Mayor Michael Booker for helping his firm get ready to repurpose the land over the next year or so.
“Mayor Booker has been laser-focused on getting rid of the corrections facility and getting something productive for his community,” Pietro said. “Lots of other sites in Greater Cleveland require a enormous lead times for demolition, clean-up and utilities. This site has a much faster turnaround time.”
END






