
Rafih Auto Group’s new home plus associated retail and office developments near the Interstate 90-Nagel Road interchange were approved by Avon Planning Commission this week, opening the door to luxury auto dealerships to relocate from Cuyahoga County. The intersection of Chester and Jaycox roads is at the bottom of this image (Cresco). CLICK IMAGES TO ENLARGE THEM.
Luxury car dealers leaving Cuyahoga
Two luxury car dealerships that first sought to redevelop part of Great Northern Mall in North Olmsted are now heading to Avon in Lorain County instead. It’s the latest symptom of urban sprawl that’s driving high-profile Cuyahoga County businesses into the collar counties.
Avon Planning Commission on Jan. 21 approved final development plans for the Rafih Auto Group’s dual-dealership site, part of a 30-acre plot of land southeast of the intersection of Chester and Jaycox roads. Located near the Nagel Road interchange, it is one of the last big pieces of undeveloped land along Interstate 90 in Avon.
The dealerships, which include Mercedes and Porsche brands, will occupy about 15 acres of the site. It also possible that Rafih’s Aston Martin-Bentley-Rolls Royce operations in North Olmsted will move to Avon as well.
Rafih Auto Group of Windsor, Ontario acquired these and other dealerships for an undisclosed amount in 2019 from Bernie Moreno who was elected to the U.S. Senate as a Republican in November 2024. Moreno reported assets worth up to $172.7 million in 2024, according to financial disclosures.
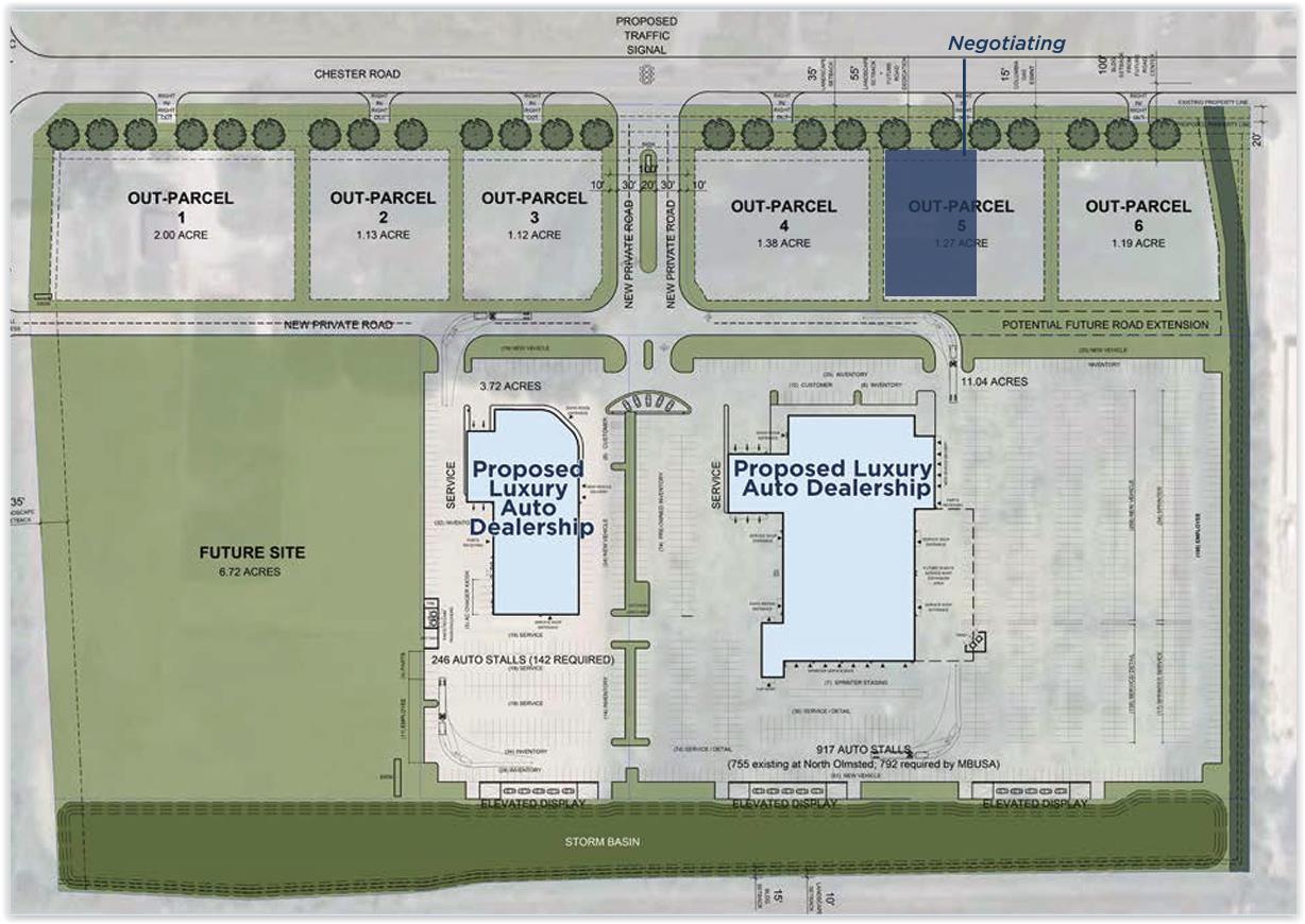
On the same property, separate development plans will be sought for six commercial out-lots measuring from 1.12 to 2 acres. Each are available for lease although half of one is under negotiation by a potential end-user. Those six lots are along Chester, which is to be widened from two lanes to four.
The out-lots along Chester are being marketed to retailers, professional service groups, and others, said Rico Pietro, a principal at the brokerage Cushman & Wakefield – CRESCO Real Estate based in Independence. Plans for their development will be submitted to the city when end users are identified.
“We are seeking businesses that can benefit from having big wallets come to visit the site,” Pietro said in a phone interview. “The dealerships are the domino that we’ve been waiting to fall and for it play out for a long period of time.”
Another domino is at the west end of the property, next to Jaycox, a 6.72-acre portion of the overall site may be developed with an office building. Pietro said it could include offices for private medical practices to take advantage of Cleveland Clinic’s expanding health care facilities one-half-mile to the east on Nagel.
In a $340 million project, Cleveland Clinic is expanding its Avon Hospital and its adjacent Richard E. Jacobs Family Health Center. The hospital facilities used to be located in Lakewood prior to 2016 when that 108-year-old hospital was shut down.
Doing business as R7 Motors Inc., Rafih bought the 30-acre Avon property in August 2024 for $10 million, according to Lorain County records. Development plans for the site were crafted by and presented to the city by by Polaris Engineering of Willoughby Hills. Marous Construction is the general contractor.
Rafih previously considered building a $60 million dealership and headquarters on the current site of a closed Sears department store at Great Northern Mall. The company in 2021 bought the 15.6-acre property under the name R6 Motors Inc. for $6.55 million from an affiliate of businessman Tony George.
Redevelopment of the Great Northern Mall site required cleaning, demolishing and clearing the Sears store as well as redoing the parking lot. The Avon site, although identical in size, offered a clean-and-green piece of land from which to start construction fresh.
“We’re still working with the mayor (of North Olmsted, Nicole Dailey Jones) and Max Upton (director of community and economic development) to market the Sears site which is the most visible redevelopment part of Great Northern Mall,” Pietro added.
Part of the proposed Avon location was the 17.5-acre former Connelly Landscaping Co. property at 34925 Chester Rd., at the southeast corner of Chester and Jaycox. The landscaping business closed in the mid-2010s.
That site was under strong consideration by Great Lakes Brewing Company under its former CEO Mark King for a new-build, 200,000-square-foot production and canning facility. Great Lakes’ owners Patrick and Daniel Conway opted against Avon, and briefly considered an existing Westlake building, but haven’t made any decisions yet on where to expand.
END





